Vernon Place, Northern Court, Nottingham, NG6 0DE
£725,000 to £775,000
Commercial
Key Features
- Freehold Industrial Estate Investment
- Let and producing a rent of £43,650 pa
- Ideal investment with scope for asset management
- Next block viewing: Thursday 16th February at 1:30 PM, please arrive promptly (This is an external walk around the industrial site)
Part of the
23 February 2023
auction
The Nottingham Racecourse
at
2.30PM
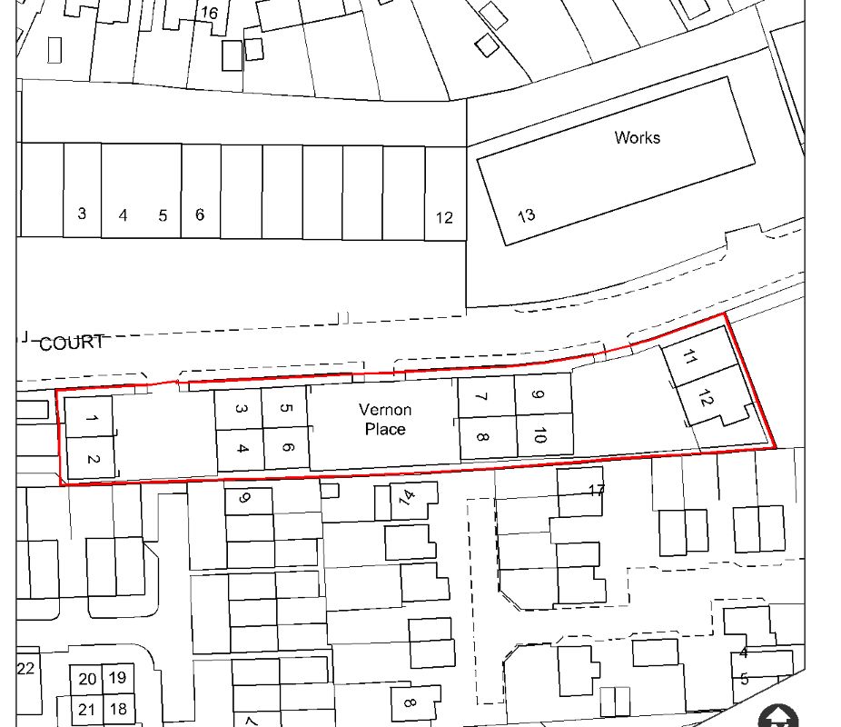
An opportunity to acquire a freehold Industrial Estate investment comprising 12 units totalling 8,801 sq ft, subject to the existing tenancies. Current rent passing £43,650 pa
- Freehold Industrial Estate investment comprising 12 units
- Located on this popular and established Industrial Estate
- Off Vernon Road (B682) close to Bulwell town centre
- Approximately 10 minutes from J26 of the M1
- Circa 27 minutes (17 miles) from East Midlands Airport
- Situated 2.7 miles North-West of Nottingham City Centre
- Within 1 mile of Bulwell Train Station
- Site area approx 0.83 acres (0.34 Ha)
- Comprising three purpose built blocks, each of 4 units
- Total Gross Internal Floor Area approx 817.64 sq m (8,801 sq ft)
- Gated estate with metal security access gates
- Current rent passing £43,650 per annum
- Ample loading, parking and circulation space
- Potential asset management opportunity
Contact Auction Estates on 0115 7844600
Fees
A buyer's premium of £1,440 inc VAT (£720 inc VAT if the sale price is less than £10,000) is applicable to each lot purchased. The Seller may charge additional fees payable upon completion. If applicable, such fees are detailed within the Special Conditions of sale. Buyers are deemed to bid in full knowledge of this.
Guide Prices and Reserve Prices
Each property sold is subject to a Reserve Price. The Reserve Price, which is agreed between the seller and the auctioneer just prior to the auction, would ordinarily be within + or - 10% of the Guide Price. The Guide Price is issued solely as a guide so that a buyer can consider whether or not to pursue their interest. Both the Guide Price and the Reserve Price can be subject to change up to and including the day of the auction.
Conditions of Sale
The Conditions of Sale will be deposited at the offices of the auctioneers and vendors solicitors/licensed conveyancers seven days prior to sale and the purchaser shall be deemed to have knowledge of same whether inspected or not. Any questions relating to them must be raised prior to 11.30 am. Prospective purchasers are advised to check with the auctioneers before the sale that the property is neither sold nor withdrawn.
The purchaser will also be deemed to have read and understood the auction conduct notes printed within the sale catalogue.
Freehold, subject to the existing tenancies producing a rent of £43,650 pa. Refer to Legal Pack for tenancy information.
Refer to Legal Pack
Email: null
Telephone: 0115 8765 729
