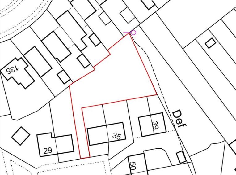
Land at Hazel Grove, South Normanton, Alfreton, Derbyshire, DE55 2JG
£50,000+
Land
3
Key Features
- Freehold residential development land for a three bed detached bungalow
- Set on a site of circa 0.17 acres
- ideal for developers and builders
Part of the
26 October 2023
auction
The Nottingham Racecourse
at
2.30PM
Freehold parcel of residential development land (0.17 acres) with full Planning Permission for a three bedroom detached bungalow in the centre of South Normanton
- Freehold parcel of residential development land
- Located in a quiet cul-de-sac in the heart of South Normanton
- Less than 1 mile from both the A38 and J28 of the M1
- Situated in a good school catchment area
- A short walk (0.8 miles) from Frederick Gent School
- Close to a variety of local amenities: Shops, pubs & restaurants
- Full Planning Permission for a three bed detached bungalow
- Bolsover District Council - Ref: 22/00263/FUL
- Ideal for developers and builders
Contact Auction Estates
Fees
A buyer's premium of £1,440 inc VAT (£720 inc VAT if the sale price is less than £10,000) is applicable to each lot purchased. The Seller may charge additional fees payable upon completion. If applicable, such fees are detailed within the Special Conditions of sale. Buyers are deemed to bid in full knowledge of this.
Guide Prices and Reserve Prices
Each property sold is subject to a Reserve Price. The Reserve Price, which is agreed between the seller and the auctioneer just prior to the auction, would ordinarily be within + or - 10% of the Guide Price. The Guide Price is issued solely as a guide so that a buyer can consider whether or not to pursue their interest. Both the Guide Price and the Reserve Price can be subject to change up to and including the day of the auction.
Conditions of Sale
The Conditions of Sale will be deposited at the offices of the auctioneers and vendors solicitors/licensed conveyancers seven days prior to sale and the purchaser shall be deemed to have knowledge of same whether inspected or not. Any questions relating to them must be raised prior to 11.30 am. Prospective purchasers are advised to check with the auctioneers before the sale that the property is neither sold nor withdrawn.
The purchaser will also be deemed to have read and understood the auction conduct notes printed within the sale catalogue.
Freehold with vacant possession
Email: holliewatkins@bannerjones.co.uk
Telephone: 01623 675800
