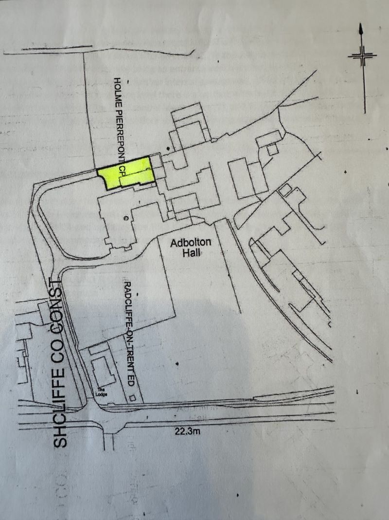
The Barn, Adbolton Lane, West Bridgford, Nottingham, NG2 5AS
POSTPONED
Commercial
Key Features
- Opportunity to acquire a self contained two-storey office building with ample parking
- Extending to approximately 2,687 sq ft
- To be sold with full vacant possession
Part of the
19 June 2025
auction
Trent Bridge Cricket Ground
at
2.30PM
An opportunity to acquire a well presented freehold two-storey office building extending to approximately 2,687 sq ft, located on the outskirts of Lady Bay close to West Bridgford.
- Freehold two-storey office building
- Located 1 mile from West Bridgford Town Centre
- Situated in a quiet location off Adbolton Lane
- Walking distance to shops and eateries in Lady Bay
- Excellent road connectivity, near; A52, A46 & Lady Bay Bridge
- 2 miles from Nottingham Railway Station
- A short walk to bus stop linking to the town centre & surrounds
- 15-minute drive to Nottingham City Centre
- GF: Reception, server room, kitchen, WC, workshop & 2 offices
- FF: Comprising 4 offices & toilets
- Forecourt providing approximately 10 parking spaces
- An ideal opportunity for investors
Contact Auction Estates on 0115 7844 600
Fees
A buyer's premium of £1,800 inc VAT (£720 inc VAT if the sale price is less than £10,000) is applicable to each lot purchased. The Seller may charge additional fees payable upon completion. If applicable, such fees are detailed within the Special Conditions of sale. Buyers are deemed to bid in full knowledge of this.
Guide Prices and Reserve Prices
Each property sold is subject to a Reserve Price. The Reserve Price, which is agreed between the seller and the auctioneer just prior to the auction, would ordinarily be within + or - 10% of the Guide Price. The Guide Price is issued solely as a guide so that a buyer can consider whether or not to pursue their interest. Both the Guide Price and the Reserve Price can be subject to change up to and including the day of the auction.
Conditions of Sale
The Conditions of Sale will be deposited at the offices of the auctioneers and vendors solicitors/licensed conveyancers seven days prior to sale and the purchaser shall be deemed to have knowledge of same whether inspected or not. Any questions relating to them must be raised prior to 11.30 am. Prospective purchasers are advised to check with the auctioneers before the sale that the property is neither sold nor withdrawn.
The purchaser will also be deemed to have read and understood the auction conduct notes printed within the sale catalogue.
Freehold with vacant possession upon completion.
Refer to Legal Pack
Email: jhodgson@butcher-barlow.co.uk
Telephone: 0161 7644062
